diciembre 11, 2025
ilustrasi-siklon-tropis_169.jpeg


Yakarta, CNN Indonesia

La Agencia de Meteorología, Climatología y Geofísica (BMKG) anunció que Indonesia está actualmente rodeada por dos semillas de ciclones tropicales. Mira el efecto.

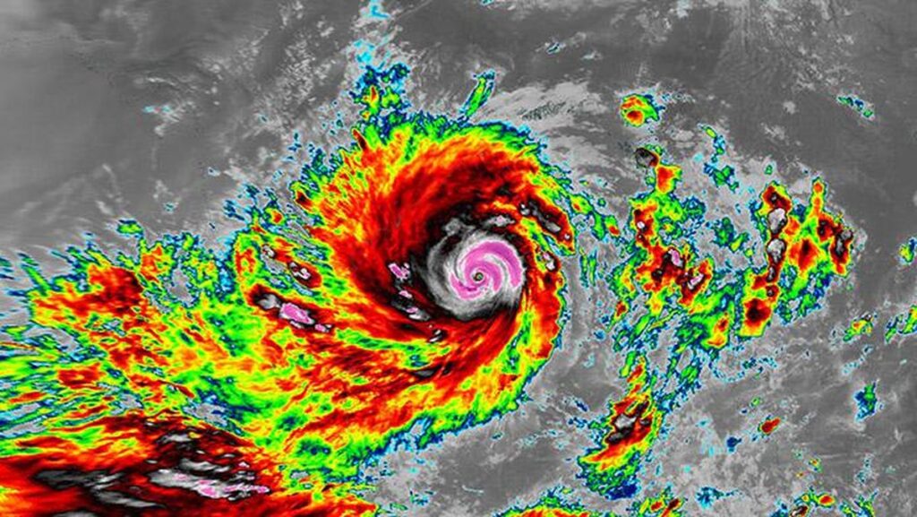
BMKG explicó que las dos semillas de ciclones tropicales son 95B y 92W. Estas dos semillas de ciclones tropicales tienen el potencial de aumentar las precipitaciones en varias regiones de Indonesia.

PUBLICIDAD

Desplácese para continuar con el contenido

Por lo tanto, se recomienda a los habitantes de la parte norte de Indonesia que presten atención al aumento de la intensidad de las lluvias provocado por estos dos ciclones tropicales.

“El aumento de la intensidad de las lluvias está influenciado por diversos fenómenos atmosféricos, tanto a nivel global, regional como local. Uno de los factores que influyen es la presencia de dos núcleos de ciclones tropicales que se formaron alrededor de la región norte de Indonesia y que también influyeron en la intensidad de las precipitaciones en la zona”, escribió BMKG en su pronóstico meteorológico semanal para el período del 25 de noviembre al 1 de diciembre.





BMKG estima que el ciclón tropical Semilla 95B está ubicado en el Estrecho de Malaca, al este de Aceh, con una tendencia de intensidad estable y el patrón de circulación aún se está expandiendo a medida que avanza hacia el Mar de Andamán, al norte de Aceh.

Se espera que la presencia de estas semillas de ciclones tenga un impacto indirecto en el potencial de lluvias de intensidad moderada a fuerte acompañadas de fuertes vientos en las regiones de Aceh y Sumatra del Norte. Luego también pueden producirse olas altas de hasta 4 metros en la parte central del estrecho de Malaca, en las aguas orientales del norte de Sumatra y en las aguas de Riau.

Mientras tanto, se estima que el ciclón tropical Semilla 92W estará activo en el Mar de Filipinas al norte del suroeste de Papua, con una intensidad que tiende a ser estable y se espera que aumente en los próximos días junto con su movimiento hacia el noroeste hacia el Mar de Filipinas Occidental.

Se espera que la presencia de esta semilla de ciclón tropical tenga un impacto indirecto en el potencial de precipitaciones de moderadas a intensas acompañadas de fuertes vientos en las islas Sangihe hasta las islas Talaud, el mar de Maluku, las aguas al norte y al este de Halmahera, las aguas al norte del suroeste de Papua hasta Papua y el Océano Pacífico al norte de Maluku hasta Papua.

Anteriormente, el ciclón tropical FINA tuvo impactos relacionados con el clima en varias regiones del país. Ahora se estima que el ciclón tropical se ubicará en el mar de Timor, en aguas al suroeste de Darwin, y se espera que su intensidad disminuya a medida que se aleje del territorio indonesio.

Sin embargo, el impacto de olas altas de hasta 2,5 metros aún puede ocurrir durante las próximas 24 horas en las aguas del sur desde las islas Leti hasta las islas Tanimbar, la parte occidental del mar de Arafuru alrededor del este de Nusa Tenggara.

Además de la formación de ciclones tropicales, otras dinámicas atmosféricas influirán en el tiempo en Indonesia. El actual dipolo negativo del Océano Índico (IOD) tiene un impacto significativo en la creciente intensidad de las precipitaciones en el oeste de Indonesia.

Luego, se observaron ondas atmosféricas activas en la mayor parte de Indonesia, respaldadas por una alta humedad y condiciones atmosféricas relativamente inestables, que también desencadenaron los importantes fenómenos meteorológicos de los últimos días.

(lom/dmi)

(Gambas: vídeo de CNN)

About The Author